Storm Chase Details
Chase Date: June 3, 2025
States Chased: OK
Tornadoes Witnessed: 1
Highest Wind Encountered: 50 MPH
Milestones: First tornado from home
Severe Risks: SPC Outlooks
Severe Reports: Storm Reports
States Chased: OK
Tornadoes Witnessed: 1
Highest Wind Encountered: 50 MPH
Milestones: First tornado from home
Severe Risks: SPC Outlooks
Severe Reports: Storm Reports
12Z Morning Soundings
SPC Mesoanalysis 15Z
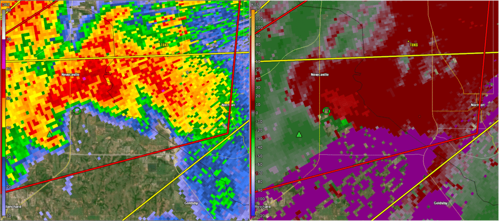
Tornado in Newcastle
As the line approached OKC metro, a few isolated cells went up ahead of the line. The cell in Northeast OKC went tornado warned. Another couple of cells were coming up from the Dibble/Blanchard area. As the line approached these cells, its influence caused a tornado just west of my house.




































































